0

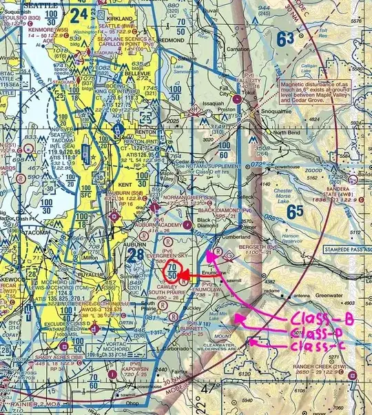
I've been looking at the SEA-TAC VFR map, and something caught my eye... enter image description here

On this map one can see that the SEA-TAC airport has a class B designation in a strange inverse-rhomboid shape, surrounded by, depending on the direction, class C or D airspace.

This is confusing to me, and I am looking for clarification. Specifically: There is no Ceiling or floor stated for the class C space. What are the proper ceiling/floor elevations for the class C airspace? There is also no ceiling or floor for the class D space. What are the proper ceiling/floor elevations here?
The center of the map also says "see NOTAMSs/SUPPLEMENT" for class D eff hrs. I didn't get any supplement with this digital map.. where would I find this information?

tuskiomi
  • 554
  • 5
  • 21
  • 1
    The text says "MODE C" not "CLASS C" – 60levelchange Jan 27 '21 at 08:22
  • 2
    The supplement that the note is referring to is the Chart Supplements booklet. It is freely downloadable from the FAA website. https://www.faa.gov/air_traffic/flight_info/aeronav/digital_products/ – wbeard52 Jan 27 '21 at 15:30

2 Answers2

8

Your question is flawed because you have labeled the airspace incorrectly:

  • The thin circular magenta line you have labeled class C is actually the edge of the 30 mile mode C veil around SEA.

  • The shaded magenta line you have labeled class D actually depicts the area where the class E floor is 700’ AGL.

If you want to see how class C airspace is normally depicted, look North to NAS Whidbey Island.

If you want to see how class D airspace is depicted, come halfway back to Paine Field in Everett. (There is also class D around SEA, BFI and RNT, but they overlap each other and the chart is pretty busy in this area, so Everett is a cleaner example.)

Michael Hall
  • 25,964
  • 2
  • 62
  • 99
2

Michael Hall has already given you the correct answer. I just want to add clarification.

The Mode C Veil is the thin magenta line surrounding the Class B airport. The line is always depicted as thinner Than the border of Class C airspace. In fact, the two have nothing to do with each other. The Mode C Veil is the outer limit at which a Mode C compliant transponder must be operational regardless of airspace (except for certain aircraft). As of 2020, this regulation also applies to ADS-b Out. By regulations, it is a circle around the center of the controlling Class B airspace with a radius of 30 Nautical Miles per 14 CFR Appendix D Part 91

Appendix D to Part 91 Airports / Locations: Special Operating Restrictions

  1. Locations at which the requirements of §91.215(b)(2) and §91.225(d)(2) apply. The requirements of §91.215(b)(2) and §91.225(d)(2) apply below 10,000 feet MSL within a 30-nautical-mileradius of each location in the following list.

SeaTac airport is on this list.

The border of Class C airspace is denoted by a thicker solid magenta line where as the border of a TRSA (baby C) is denoted by a thicker solid gray line. The shape of Class C airspace is generally like an upside down wedding cake. The lower level starts at the surface and extends upward to 1200 feet AGL with a radius of 5 Nautical Miles. The upper level starts at 1200 feet AGL and extends upward to 4000 feet AGL with a radius of 10 Nautical Miles.

The border of Class D airspace is denoted by a cyan blue segmented line forming a circle of generally 4 Nautical mile radius from the center of the controlling airport. The dimensions of Class D airspace generally start at the surface and extend upward to 2500 feet AGL unless otherwise noted.

The border of Class E airspace is denoted in several different ways depending on the type of Class E airspace. Two of which are depicted in your example of SeaTac Airport even though you easily see only one. These are

  1. Class E to the Surface - thin segmented magenta line.
  2. Class E surface Extension - thin segmented magenta line.
  3. Class E Transition airspace starting at 700 AGL - shaded magenta line.
  4. Victor and other federal airways - pale lines generally blue in color.
  5. Offshore Class E starting at various altitudes - blue zipper lines.
  6. Domestic enroute Class E - shaded blue lines when starting at 1200 feet AGL and zipper lines when at different altitudes.
  7. Class E Above 60,000 feet - usually not denoted.

Class G is not denoted. It can be generally thought of as anything below, above and outside of all other airspace. On a US sectional chart, it generally Class G starts at the surface and extends upward to the Class E Domestic enroute altitude of 1200 feet AGL unless the surface elevation is greater than 13,000 feet MSL. Then, Class G extends upward to 1500 feet AGL. Under the Class E Transition area, Class G starts at the surface and extends upward to 700 feet AGL. It can also be located on the darker solid side of the shaded blue line of Class E Domestic Enroute starting at the surface and extending upward to 14,500 feet MSL or 1500 feet AGL. Whichever is higher.

Dean F.
  • 16,507
  • 1
  • 30
  • 70
  • Very informative! – tuskiomi Jan 28 '21 at 15:12
  • 1
    @tuskiomi - No problem. By the way, the US Chart Supplement mentioned earlier was formerly known as the Airport/Facility Directory at one point in time. You may recognize it by this name. – Dean F. Jan 29 '21 at 19:53
  • "In fact, the two have nothing to do with each other." Both the Mode C veil and the Class C airspace markings indicate airspace where an operational Mode C transponder is necessary, so there is a small bit of similarity. But as you point out magenta is also used for Class E surface areas, which do not require Mode C (or any transponder at all). – randomhead Mar 16 '21 at 18:03
  • @randomhead - The assertion that the Mode C Veil and Class C Airspace is pretty important to the question. The Original Poster had a fundamental misunderstanding about Mode C and Class C. The two have nothing to do with each other. Generally/typically, where you have one, you will not have the other. The fact that they share similar properties is not relative to the question. Where they do coexist, the Mode C Veil is centered around the Class B airport regardless of the shape of the Class B airspace and irrespective of other airspaces. – Dean F. Mar 17 '21 at 03:28
  • @randomhead - As a matter of fact, you can be inside Class B or C Airspace, but outside of the Mode C Veil. Conversely, you can be inside the Mode C Veil while simultaneously in Class D, E or G Airspace. Class A Airspace, Class B Airspace, Class C Airspace, and the Mode C Veil all share similar requirements for transponders as does 10,000 feet MSL regardless of airspace or veil. – Dean F. Mar 17 '21 at 03:28